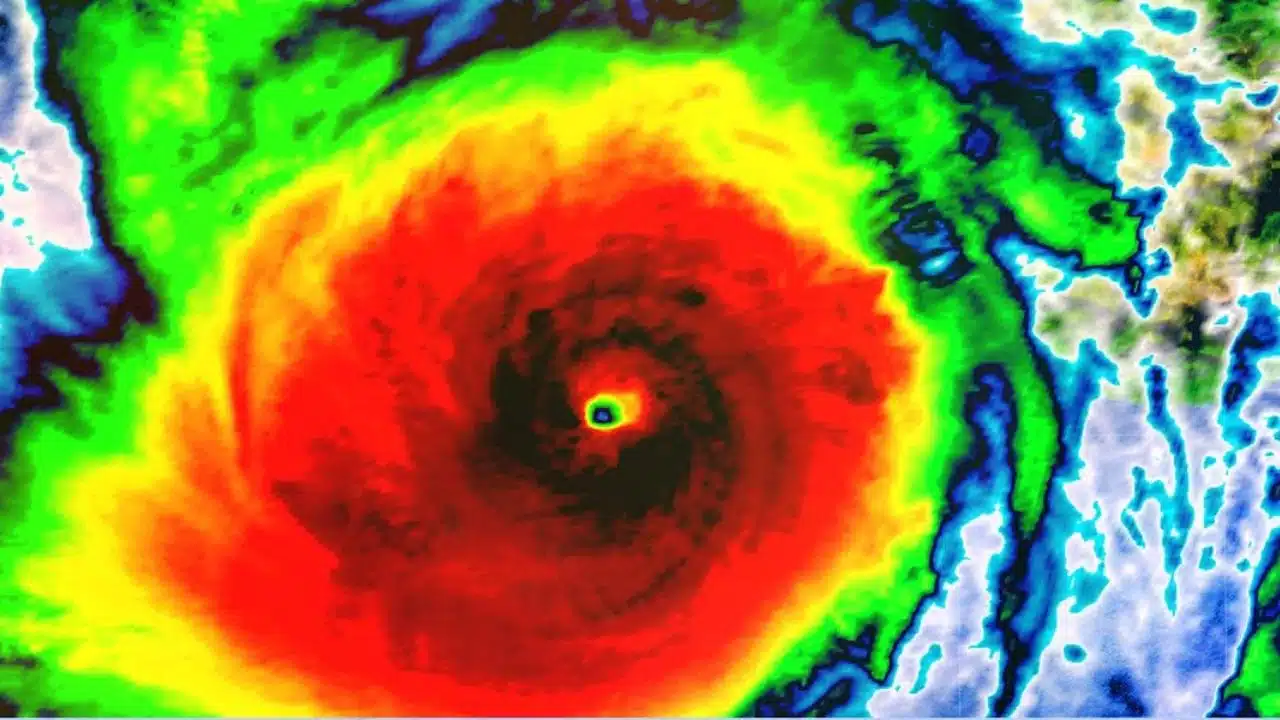
Hurricane Otis, an extremely dangerous Category 5 storm, is taking aim at the coastal resort city of Acapulco, Mexico, threatening catastrophic damage with its high winds, heavy rainfall, and life-threatening storm surge. The monster hurricane is forecast to make landfall Wednesday morning near the famous beach destination, which is home to some 800,000 people.
Mexican officials are urgently warning residents along the coast to seek shelter immediately and stay away from hazardous areas as the strongest storm on record for this stretch of Mexico’s Pacific coast edges closer. President Andrés Manuel López Obrador implored those in Acapulco and surrounding coastal communities to evacuate high-risk zones ahead of Otis’ arrival.
Packing peak winds of 165 mph, Otis is likely to unleash destructive winds, up to 2 feet of rain, and storm surge flooding when its eyewall moves ashore. Forecasters describe the situation as a “nightmare scenario” that could ravage Acapulco with potentially catastrophic impacts. In addition, you can also read an article on- Why Hurricanes Will be More and More Intense?
If Otis maintains its Category 5 strength, it would exceed 2015’s Hurricane Patricia as the strongest storm on record to hit Mexico’s Pacific coast. Patricia slammed ashore further north as a Category 4 hurricane, avoiding major cities. Otis appears on track to score a direct hit on Acapulco.
Coastal Locations Brace for Life-Threatening Conditions
A hurricane warning is in effect along the coast from Punta Maldonado to Zihuatanejo as conditions rapidly deteriorate. Gusts over 70 mph are expected to reach shore Tuesday night before Otis’ core arrives.
The combination of destructive winds, heavy rains, and towering waves could leave wide swaths of coastline uninhabitable. Total rainfall of 8 to 16 inches, locally up to 20 inches, could unleash catastrophic flooding and mudslides. Additionally, you can also read about- Fast Facts for the 2023 Atlantic Hurricane Season
Officials Warn Residents to Evacuate Immediately as Otis Nears Mexico’s Pacific Coast
The extremely dangerous hurricane is located just offshore and is hours away from a direct hit on Acapulco. Residents must urgently seek safe shelter before hurricane-force winds spread onshore.
With widespread power outages, flooded roads, damaged homes, and winds too dangerous for rescue teams, residents who do not evacuate risk being stranded without access to aid or vital services for an extended period.
You May Find Interest: Storm Agnes: Understanding the Science Behind Storm Naming and Forecasting





