Russia-US Peace Talks Fail, Oil Sanctions Stay in Place

A five-hour high-stakes meeting in Moscow between Russian President Vladimir Putin and senior U.S. envoys ended without a breakthrough on a Ukraine peace deal early Wednesday, leaving relations frozen and fighting on the ground unchanged. The talks had been closely watched because any path toward a ceasefire was seen as the only realistic route to […]
PayPal Shares Fall as CFO Warns of Checkout Slowdown

PayPal shares slipped after Chief Financial Officer Jamie Miller warned that growth in the company’s flagship branded checkout business will slow in the fourth quarter, unnerving investors already sensitive to signs of weakening demand. The comments revived worries about PayPal’s core growth engine at a time of tougher competition and more cautious consumer spending. Shares […]
Oscar Acting Races 2025: Full Analysis of Contenders & Favorites

Every awards season, Oscar predictors study a complex mix of factors — previous nominations, the emotional depth of a role, momentum on the festival circuit, industry perception, and even the narrative surrounding a performer’s career. These elements often shape who rises to the top of the Academy Awards races. This year’s competition across all acting […]
Salt Bae Loses Bitter Trademark Battle to Ban Rival From Using the Word ‘Salt’

Salt Bae, the viral Turkish chef whose flamboyant salt-sprinkling technique turned him into a global celebrity, has lost a high-stakes trademark battle in the UK. The case centered on his attempt to block rival restaurants from using the word “Salt” in their branding, but the court ruled that the term is too generic and common […]
Lionel Messi’s MLS 2028 Countdown: Seven Records He Could Break Before Inter Miami Deal Ends

Lionel Messi’s new Inter Miami contract through the 2028 MLS season turns his “final act” in club football into a four-year countdown toward a series of records that analysts believe he can still rewrite in the United States. From single‑season scoring marks to age‑defying MVP milestones, his Miami chapter now looks less like a farewell […]
Earthquake Jolts Dhaka Again as 4.1 Quake Strikes Narsingdi

An earthquake was felt once again across Dhaka and nearby districts early Thursday morning, adding to a series of recent tremors that have unsettled residents in the capital and beyond. According to the Bangladesh Meteorological Department (BMD), the quake occurred at 6:14:45 am and registered a magnitude of 4.1 on the Richter scale, making it […]
18 Bold Travel Predictions for the Next Decade: How AI, Climate Shifts & New Lifestyles Will Redefine Tourism by 2035

The way we travel is changing faster than ever. In just a few years, we’ve moved from paper tickets and one-size-fits-all package tours to mobile boarding passes, instant price comparison, and ultra-personalized recommendations. Low-cost airlines reshaped the skies, home-sharing disrupted hotels, and remote work turned the world into an office for millions of digital nomads. […]
Google Announces Best Chrome Extensions of 2025 — Full List Revealed

Google has officially named its favorite Chrome extensions of 2025, and the list confirms that the browser is now an AI-powered workspace rather than just a window to the web. The “Favorites of 2025” collection on the Chrome Web Store highlights ten standout tools, with most built around artificial intelligence, automation, and smarter productivity. Full […]
Bolivia Tracksite Holds 18,000 Dinosaur Footprints

Bolivia has unveiled one of the most extraordinary paleontological discoveries in recent history: a tracksite containing nearly 18,000 dinosaur footprints. Located in the Torotoro National Park and the famed Cal Orck’o site near Sucre, this vast collection offers an unprecedented glimpse into the lives and behaviors of dinosaurs that roamed South America during the Late […]
Microsoft Denies Lower AI Sales Targets Amid Investor Concerns

Microsoft moved quickly to counter a report suggesting the company had reduced internal sales growth targets for its artificial intelligence products, a claim that briefly rattled investors and triggered a notable dip in the company’s stock price. Shares fell as much as 3% early Wednesday before recovering slightly to close down nearly 2.8% at $476.22. […]
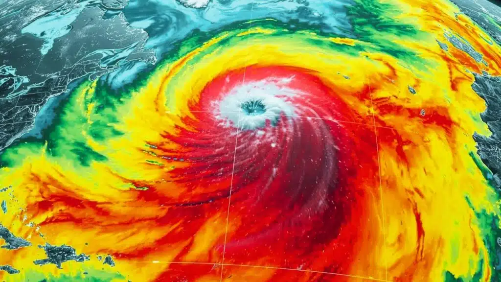
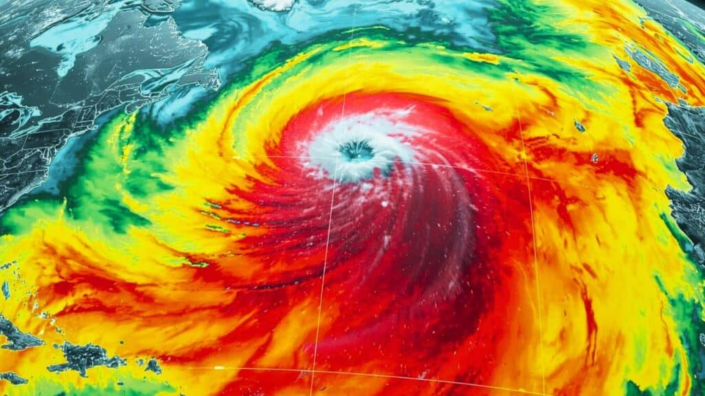
NASA Satellite Captures Unprecedented View of Tsunami From Space

NASA’s Surface Water and Ocean Topography (SWOT) satellite has captured the first detailed, high‑resolution view of a giant Pacific tsunami from space, offering scientists a game‑changing look at how these deadly waves actually move across the ocean. Researchers say the observation could sharply improve future tsunami models and, ultimately, coastal warning systems around the world. […]
Omar Khayyam and The Mystery of Fate: A Literary Exploration

Ever wondered why things happen exactly the way they do? Maybe you catch yourself thinking about fate and what it really means for your daily life. You are definitely not alone in that. People from every corner of the globe ask if their story is written in the stars or shaped by their own hands. […]
